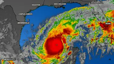
Durante la tarde de este lunes se pudo conocer que el huracán Milton se convirtió en un potente ciclón de categoría 5. Se espera que próximamente impacte las costas de Florida, apenas diez días después de que Florida haya sufrido los fuertes embates del huracán Helene, que alcanzó categoría 4 antes de degradarse.
NOTAS RELACIONADAS
En ese sentido, los residentes de Florida se mantienen atentos ante las amenazas de Milton. Más temprano en la tarde las autoridades repartieron sacos de arena para prevenir inundaciones a pocas horas de la llegada de Milton. La masiva evacuación de la población ha marcado la actividad de la tarde de este lunes.
Números de emergencia
Ante la llegada de Milton es normal que los ciudadanos presenten dificultades y emergencias relacionadas con el ciclón. Para saber cómo actuar ante esta situación, es importante que los residentes de Florida estén al tanto de los números de emergencia a los que pueden llamar ante esta situación. Los siguientes servicios son los que estarán activos:
- FloridaDisaster.org: En esta web se encuentra información actualizada sobre los condados que tienen orden de desalojo. Hasta ahora se sabe que son los condados de Pasco, Pinellas, Hillsborough, Manatee, Sarasota y Charlotte.
- Municipio de Orlando en español: En su página de Facebook se puede encontrar información esencial sobre el paso de Milton por Orlando.
- Gobierno del Condado de Orlando: También en su página de Facebook se puede obtener información sobre recogida de sacos de arena, cierres de escuela y otras facilidades en la ciudad.
Para reportar inundaciones en la región de Orlando se recomienda hacerlo por medio de la página web del Gobierno de Orlando. Otra forma de hacerlo es por medio del número de teléfono 407-246-2238. En el caso de querer reportar una caída de un árbol, la línea es 407-246-2283. Y finalmente para emergencias que requieran atención, llamar al 911.
- Condado de Pinellas: En la plataforma del condado se puede encontrar información sobre las zonas de desalojo y las medidas a tomar ante la emergencia.
- Gobierno de Ron DeSantis: Para encontrar información de todo el estado de Florida se recomienda buscar en la página de Facebook de Ron DeSantis.
